Your email has been sent.
INVESTMENT HIGHLIGHTS
- General Business Zoning – flexible uses including retail, office, hospitality, restaurant, medical, and more
- Strong traffic counts and consistent consumer draw from nearby retail hubs
- Surrounded by established national brands and high-density residential neighborhoods
- Excellent visibility and signage opportunity along Tolland Turnpike
- Easy highway access to I-84, I-384, and I-291
DATA ROOM Click Here to Access
PROPERTY FACTS
1 PLOT AVAILABLE
Plot
| Price | £1,120,950 | Total Plot Size | 1.20 ac |
| Price Per ac | £934,125.04 |
| Price | £1,120,950 |
| Price Per ac | £934,125.04 |
| Total Plot Size | 1.20 ac |
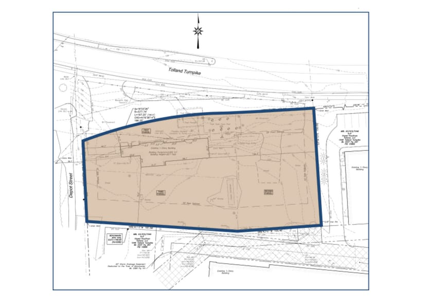
Lot consists of 3 parcels: 1076 Tolland Turnpike, 1082 Tolland Turnpike, and 15 Depot Street.
DESCRIPTION
Unlock the potential of this high-visibility commercial parcel ideally located in Manchester’s General Business Zone (GBZ). Situated directly on Tolland Turnpike, this property offers unmatched access to one of Connecticut’s busiest retail and commercial corridors. Just minutes from The Shoppes at Buckland Hills, Evergreen Walk, and the I-84/I-291 interchange, this site places your business at the epicenter of a thriving trade area that draws from Manchester, South Windsor, Hartford, and beyond. The surrounding corridor features a strong mix of national retailers, restaurants, hotels, medical facilities, and corporate offices, making this location a proven destination for both consumers and businesses.
Presented by
1076-1082 Tolland Tpke
Hmm, there seems to have been an error sending your message. Please try again.
Thanks! Your message was sent.



