Your email has been sent.
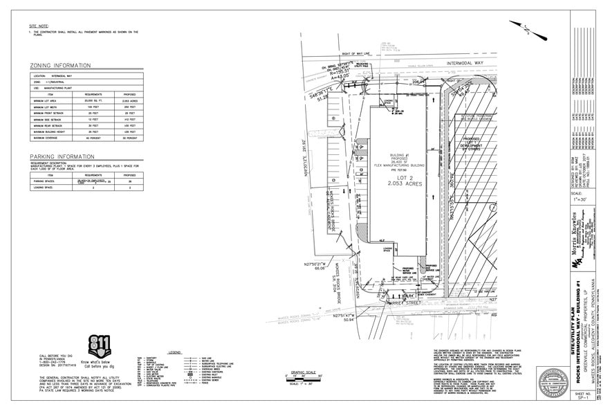
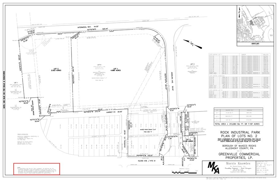
Lot 2 - 2.053 Acres Intermodal Way 26,400 sq ft Industrial Property McKees Rocks, PA 15136 £707,569 (£26.80/sq ft)



INVESTMENT HIGHLIGHTS
- Located within federal OPPORTUNITY ZONE. 10-Year Tax Abatement on ALL new construction.
EXECUTIVE SUMMARY
PROPERTY FACTS
AMENITIES
- Bus Route
- Signage
- Monument Signage
UTILITIES
- Gas - Natural
- Water
- Sewer - City
SPACE AVAILABILITY
- SPACE
- SIZE
- USE
- CONDITION
- AVAILABLE
Proposed building is permitted and approved. However, final building footprint and lot can be altered (size & layout) to accommodate user. Proposed grading designed for 2 drive-in doors but can be converted to 2 loading docks. Open floor plans (clear-span with no interior columns) enables interior fit-out to meet tenant's requirements (see drawings for heights & dimensions).
| Space | Size | Space Use | Condition | Available |
| 1st Floor | 13,000-26,400 sq ft | Industrial | Spec Suite | Jan 2026 |
1st Floor
| Size |
| 13,000-26,400 sq ft |
| Space Use |
| Industrial |
| Condition |
| Spec Suite |
| Available |
| Jan 2026 |
1st Floor
| Size | 13,000-26,400 sq ft |
| Space Use | Industrial |
| Condition | Spec Suite |
| Available | Jan 2026 |
Proposed building is permitted and approved. However, final building footprint and lot can be altered (size & layout) to accommodate user. Proposed grading designed for 2 drive-in doors but can be converted to 2 loading docks. Open floor plans (clear-span with no interior columns) enables interior fit-out to meet tenant's requirements (see drawings for heights & dimensions).
PROPERTY TAXES
| Parcel Number | 0074-P-00168-0000-00 | Improvements Assessment | £0 |
| Land Assessment | £61,149 | Total Assessment | £61,149 |
PROPERTY TAXES
Presented by
Lot 2 - 2.053 Acres | Intermodal Way
Hmm, there seems to have been an error sending your message. Please try again.
Thanks! Your message was sent.



