Log In/Sign up
Your email has been sent.
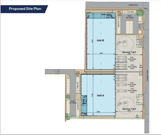
Prime Point Unit A Carlbury 36,069 sq ft Vacant Industrial Property Newton Aycliffe DL5 6BH For Sale



Investment Highlights
- 35,811 - 39,829 sqft.
- Level and dock loading doors.
- Close to A1(M).
- 12m eaves.
- Construction started on site - due for completion 2026 *.
- Large secure yards.
- First floor offices.
Executive Summary
Ground floor new build property
Property Facts
| Sale Type | Investment | Construction Status | Proposed |
| Tenure | Freehold | Net Internal Area (NIA) | 36,069 sq ft |
| Property Type | Industrial | No. Floors | 2 |
| Costar Property Class | B | Year Built | 2027 |
| Total Plot Size | 0.42 ac |
| Sale Type | Investment |
| Tenure | Freehold |
| Property Type | Industrial |
| Costar Property Class | B |
| Total Plot Size | 0.42 ac |
| Construction Status | Proposed |
| Net Internal Area (NIA) | 36,069 sq ft |
| No. Floors | 2 |
| Year Built | 2027 |
Amenities
- Accent Lighting
Space Availability
- Space
- Size
- Space Use
- Fit-Out
- Available
Ground floor industrial with office space
Ground floor industrial with office space
| Space | Size | Space Use | Fit-Out | Available |
| Ground - A | 33,368 sq ft | Industrial | Partial Fit-Out | Now |
| 1st Fl - A | 2,701 sq ft | Industrial | Partial Fit-Out | Now |
Ground - A
| Size |
| 33,368 sq ft |
| Space Use |
| Industrial |
| Fit-Out |
| Partial Fit-Out |
| Available |
| Now |
1st Fl - A
| Size |
| 2,701 sq ft |
| Space Use |
| Industrial |
| Fit-Out |
| Partial Fit-Out |
| Available |
| Now |
Ground - A
| Size | 33,368 sq ft |
| Space Use | Industrial |
| Fit-Out | Partial Fit-Out |
| Available | Now |
Ground floor industrial with office space
1st Fl - A
| Size | 2,701 sq ft |
| Space Use | Industrial |
| Fit-Out | Partial Fit-Out |
| Available | Now |
Ground floor industrial with office space
1 1
1 of 7
Videos
Matterport 3D Exterior
Matterport 3D Tour
Photos
Street View
Street
Map
1 of 1
Presented by
Prime Point Unit A | Carlbury
Already a member? Log In
Hmm, there seems to have been an error sending your message. Please try again.
Thanks! Your message was sent.
