Log In/Sign up
Enter your email to login or create a free account
This feature is unavailable at the moment.
We apologize, but the feature you are trying to access is currently unavailable. We are aware of this issue and our team is working hard to resolve the matter.
Please check back in a few minutes. We apologize for the inconvenience.
- LoopNet Team
This Property is no longer advertised on LoopNet.co.uk.
Cross Green
Leeds LS9 0SG
Property To Rent

Highlights
- New build detached warehouse unit
- Vehicle loading via 12 dock level and 2 ground level loading doors
- Excellent location within 2 miles of both Junction 45 of the M1 Motorway and Leeds City Centre
Property Overview
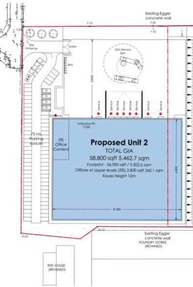
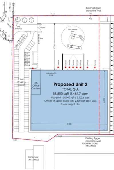
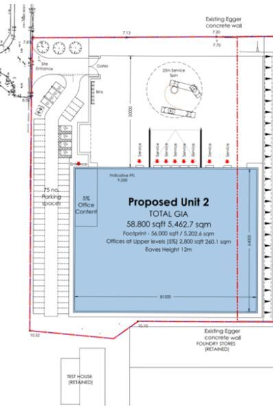
New build detached warehouse unit Excellent location within 2 miles of both Junction 45 of the M1 Motorway and Leeds City Centre 15 metre eaves 57 metre yard depth High quality ancillary offices Vehicle loading via 12 dock level and 2 ground level loading doors
Property Facts
| Property Type | Industrial | Net Internal Area (NIA) | 58,800 sq ft |
| Property Subtype | Warehouse | Construction Status | Abandoned |
| Property Type | Industrial |
| Property Subtype | Warehouse |
| Net Internal Area (NIA) | 58,800 sq ft |
| Construction Status | Abandoned |
Features and Amenities
- 24 Hour Access
Listing ID: 24740468
Date on Market: 30/12/2021
Last Updated:
Address: Cross Green, Leeds LS9 0SG
The Industrial Property at Cross Green, Leeds, LS9 0SG is no longer being advertised on LoopNet.co.uk. Contact the agent for information on availability.
INDUSTRIAL PROPERTIES IN NEARBY NEIGHBOURHOODS
NEARBY LISTINGS
- Boar Ln, Leeds
- Briggate, Leeds
- 2 Great George St, Leeds
- 170 Elland Rd, Leeds
- Ring Rd, Leeds
- Leeds Valley Park, Leeds
- 11 Pontefract Ln, Leeds
- 11 Pontefract Ln, Leeds
- Windsor Ct, Morley
- 91 Queen St, Leeds
- Bridgewater Rd, Leeds
- 39 Holbeck Ln, Leeds
- Lupton Ave, Leeds
- 89A Queen St, Morley
- Asquith Ave, Morley
1 of 1
Videos
Matterport 3D Exterior
Matterport 3D Tour
Photos
Street View
Street
Map

Link copied
Your LoopNet account has been created!
Thank you for your feedback.
Please Share Your Feedback
We welcome any feedback on how we can improve LoopNet to better serve your needs.X
{{ getErrorText(feedbackForm.starRating, "rating") }}
255 character limit ({{ remainingChars() }} charactercharacters remainingover)
{{ getErrorText(feedbackForm.msg, "rating") }}
{{ getErrorText(feedbackForm.fname, "first name") }}
{{ getErrorText(feedbackForm.lname, "last name") }}
{{ getErrorText(feedbackForm.phone, "phone number") }}
{{ getErrorText(feedbackForm.phonex, "phone extension") }}
{{ getErrorText(feedbackForm.email, "email address") }}
You can provide feedback any time using the Help button at the top of the page.