Log In/Sign up
Your email has been sent.
Investment Highlights
- Just 180 feet off a major State Highway, ensuring strong traffic counts and exposure.
- Situated in a business-friendly zone with convenient access to major highways.
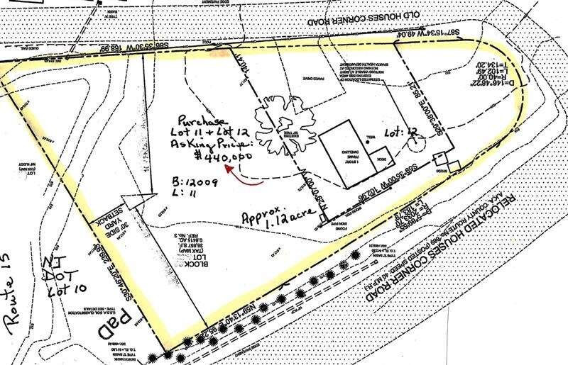
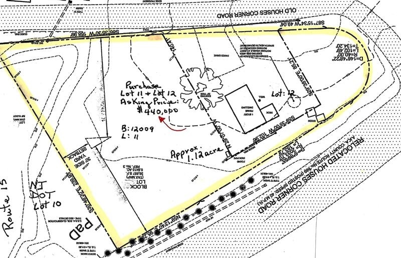
- Includes corner and adjacent lots at 308 and 309 Houses Corner Rd, enhancing road frontage and development flexibility.
- Ideal for income-generating development, business expansion, or long-term investment.
Executive Summary
Unlock the full potential of this strategically assembled portfolio featuring three contiguous parcels located in Sparta’s highly sought-after Economic Development (ED) District. Together, these properties offer a rare opportunity for investors, developers, and business owners to capitalize on flexible zoning, high visibility, and exceptional access in a pro-growth corridor of Sussex County. Located in a growing area with increasing demand for commercial space. Perfect for creating a business hub or custom facility with long-term success potential.
Property Facts
| Price | £2,400,969 | Number of Properties | 3 |
| Sale Type | Investment | Individually For Sale | 0 |
| Status | Active | Total Land Area | 13.03 ac |
| Price | £2,400,969 |
| Sale Type | Investment |
| Status | Active |
| Number of Properties | 3 |
| Individually For Sale | 0 |
| Total Land Area | 13.03 ac |
Properties
| Property Name / Address | Property Type | Size | Individual Price |
|---|---|---|---|
| 309 Houses Corner Rd, Sparta, NJ 07871 | Land | 11.04 ac | - |
| 308 Houses Corner Rd, Sparta, NJ 07871 | Land | 1.17 ac | - |
|
Zoned Industrial - Outside Storage
304 Houses Corner Rd, Sparta, NJ 07871 |
Land | 0.82 ac | - |
1 1
1 of 3
Videos
Matterport 3D Exterior
Matterport 3D Tour
Photos
Street View
Street
Map
1 of 1
Presented by
Houses Corner Multi-Lot Portfolio
Already a member? Log In
Hmm, there seems to have been an error sending your message. Please try again.
Thanks! Your message was sent.


