Enter your email to login or create a free account
This feature is unavailable at the moment.
We apologize, but the feature you are trying to access is currently unavailable. We are aware of this issue and our team is working hard to resolve the matter.
Please check back in a few minutes. We apologize for the inconvenience.
- LoopNet Team
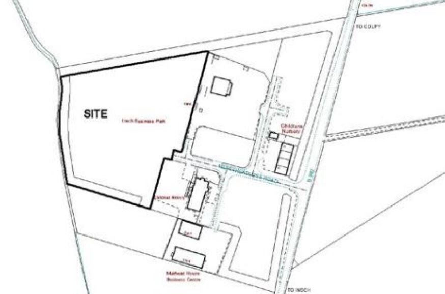
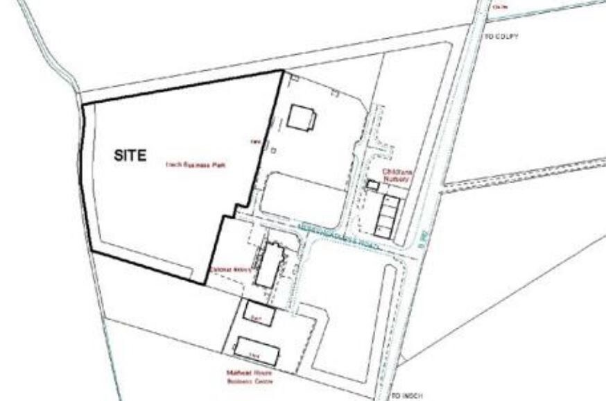
Muiryheadless Rd
Insch AB52 6TA
Development Opportunity · Land For Sale
·
4.30 ac

Property Facts
| Property Type | Land | Total Plot Size | 4.30 ac |
| Property Subtype | Commercial |
| Property Type | Land |
| Property Subtype | Commercial |
| Total Plot Size | 4.30 ac |
Description
The subjects are located in an established business park on the outskirts of the small town of Insch, a short distance from the main A96 trunk road. There is a good range of businesses located nearby including Stagecoach, Oilfast and a number of reputable local businesses. Insch is some 27 miles north west of Aberdeen and has good transport links from the nearby A96 and the local railway station.
Listing ID: 17356707
Date on Market: 03/10/2019
Last Updated:
Address: Muiryheadless Rd, Insch AB52 6TA
The Land Property at Muiryheadless Rd, Insch, AB52 6TA is no longer being advertised on LoopNet.co.uk. Contact the agent for information on availability.
LAND PROPERTIES IN NEARBY NEIGHBOURHOODS
NEARBY LISTINGS
