Log In/Sign up
Your email has been sent.
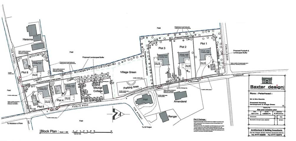
The Street - Plot 3 0.5 Acres of Residential Land Offered at £50,000 in Peterhead AB42 4UU

Investment Highlights
- Great location with good transport links
- Approximately 35 miles from Aberdeen
- Rural location in small hamlet
Executive Summary
Plots 1 - 6 available individually for £50,000 per plot or as a whole for £300,000.
Property Facts
| Price | £50,000 | Property Type | Land |
| Sale Type | Investment | Property Subtype | Residential |
| Tenure | Freehold | Proposed Use | Apartment Units - Flats |
| No. Plots | 1 | Total Plot Size | 0.50 ac |
| Price | £50,000 |
| Sale Type | Investment |
| Tenure | Freehold |
| No. Plots | 1 |
| Property Type | Land |
| Property Subtype | Residential |
| Proposed Use | Apartment Units - Flats |
| Total Plot Size | 0.50 ac |
1 Plot Available
Plot
| Price | £50,000 | Total Plot Size | 0.50 ac |
| Price Per ac | £100,000.00 |
| Price | £50,000 |
| Price Per ac | £100,000.00 |
| Total Plot Size | 0.50 ac |
While the development would ideally suit a developer, the sellers would give consideration to selling sites individually. For any party purchasing all six plots as a development site, the sellers would be prepared to include additional adjacent land.
Description
The site is to be found in the hamlet of Rora close to the village hall located on The Street with other residential properties in the vicinity. Mains water is available in the vicinity, sewerage would be to individual septic tanks and soakaways.
1 1
1 of 2
Videos
Matterport 3D Exterior
Matterport 3D Tour
Photos
Street View
Street
Map
1 of 1
Presented by
The Street - Plot 3
Already a member? Log In
Hmm, there seems to have been an error sending your message. Please try again.
Thanks! Your message was sent.
Your message has been sent!
Activate your LoopNet account now to track properties, get real-time alerts, save time on future inquiries, and more.
