Log In/Sign up
Enter your email to login or create a free account
This feature is unavailable at the moment.
We apologize, but the feature you are trying to access is currently unavailable. We are aware of this issue and our team is working hard to resolve the matter.
Please check back in a few minutes. We apologize for the inconvenience.
- LoopNet Team
This Land Property is no longer advertised on LoopNet.co.uk.
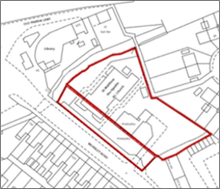
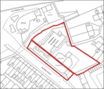
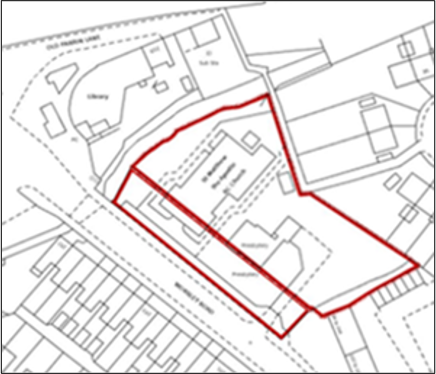
Worsley Road
Manchester M30 8BL
Former St Matthew Church · Land For Sale
·
0.78 ac

Property Facts
| Property Type | Land | Total Plot Size | 0.78 ac |
| Property Subtype | Residential |
| Property Type | Land |
| Property Subtype | Residential |
| Total Plot Size | 0.78 ac |
Listing ID: 29885089
Date on Market: 26/10/2023
Last Updated:
Address: Worsley Road, Manchester M30 8BL
The Land Property at Worsley Road, Manchester, M30 8BL is no longer being advertised on LoopNet.co.uk. Contact the agent for information on availability.
LAND PROPERTIES IN NEARBY NEIGHBOURHOODS
1 of 1
Videos
Matterport 3D Exterior
Matterport 3D Tour
Photos
Street View
Street
Map

Link copied
Your LoopNet account has been created!
Thank you for your feedback.
Please Share Your Feedback
We welcome any feedback on how we can improve LoopNet to better serve your needs.X
{{ getErrorText(feedbackForm.starRating, "rating") }}
255 character limit ({{ remainingChars() }} charactercharacters remainingover)
{{ getErrorText(feedbackForm.msg, "rating") }}
{{ getErrorText(feedbackForm.fname, "first name") }}
{{ getErrorText(feedbackForm.lname, "last name") }}
{{ getErrorText(feedbackForm.phone, "phone number") }}
{{ getErrorText(feedbackForm.phonex, "phone extension") }}
{{ getErrorText(feedbackForm.email, "email address") }}
You can provide feedback any time using the Help button at the top of the page.